Login
Der Export von Daten aus GTDS heraus setzt einen Leitstellen-Account für den Zugang voraus (mit Zugriffsrecht für alle Abteilungen, deren Daten in die Export-Tabelle einfließen sollen).
Hier siehst Du eine Login-Maske von GTDS.

Leitstelle
Nach erfolgter Einwahl wird über den Button Leitstelle der Systemverwaltung das folgende Auswahlmenü aufgerufen.

…und im nächsten Menü die Auswertungtabelle …

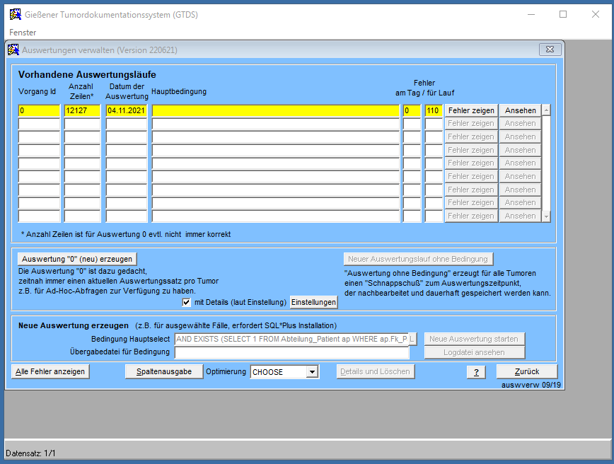
Auswertungstabelle
Die “Auswertungstabelle” zeigt bisherige Auswertungsläufe an. Voreinstellung ist der Lauf “0”, der regelmäßig automatisch erfolgt. Meist ist die hierdurch erzeugte Tabelle ausreichend (siehe weitere Schritte).
Zur Kontrolle können für den erzeugten Auswertungslauf die Anzahl der erzeugten Tumoren (Zeilenzahl der Tabelle), das Datum des letzten Auswertungslaufs und die Anzahl noch zu korrigierender Fehler abgelesen werden.
Auswertungstabelle neu erzeugen
Die Auswertungstabelle kann in weiten Bereichen angepasst werden. Wenn die Voreinstellungen nicht übernommen werden sollen, stellt GTDS eine weitere Eingabemaske für die Vorbedingungen zur Verfügung.
Hier kann auch die Auswahl der Fälle (in der Abbildung für das onkologische Zentrum) vorgegeben werden. Wichtig ist es, den Speicherort der “Ergebnisdatei” korrekt festzulegen. Die Vorgabe des “Laufwerk C:” ist in der Regel bei einer Netzwerk-basierten Server-Client-Situation unzutreffend.